City of Center Receives $350,000 Downtown Revitalization Grant
City of Center Press Release
FOR IMMEDIATE RELEASE
CITY OF CENTER RECEIVES $350,000 DOWNTOWN REVITALIZATION GRANT
Additional Funds to Supplement Downtown Streetscape Project – Extra Sidewalks Planned
CENTER, Texas (January 10, 2020) – The Texas Department of Agriculture (TDA) has notified City officials of a grant award of $350,000 through its 2019 Downtown Revitalization Program. This program is focused to provide funding exclusively for pedestrian-accessibility improvements in historic downtown areas. “The City is grateful to Commissioner Sid Miller and the TDA staff for selecting Center as a recipient,” said Center Mayor David Chadwick. “This provides the resources to further progress the Downtown Masterplan.”

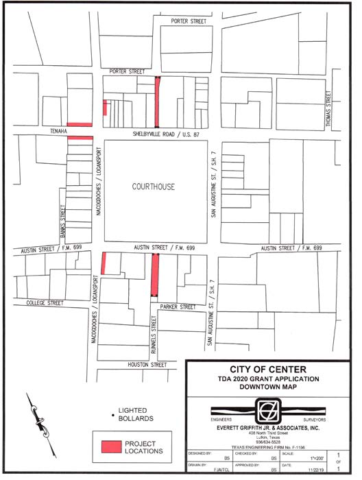
This grant will provide funding to reconstruct the side alleys and extend sidewalks at four other locations adjoining the square, Tenaha, Logansport and Nacogdoches streets. “This is an opportunity to continue current improvements for pedestrian access, improved safety and handicapped accessibility without an impact on City’s budget or its taxpayers,” explained City Manager Chad Nehring. “It will also improve the function and safety of the alleyways to allow for additional parking during events.”

The Center Revitalization and Streetscape project began construction in mid-October 2019 and remains scheduled for completion by Poultry Festival 2020. This additional project will be bid separately with coordinated construction activities and should also be completed near the end of 2020.
City of Center
617 Tenaha Street
Center, Texas 75935
936/598-2941
